売買物件
東住吉区東田辺三丁目売土地
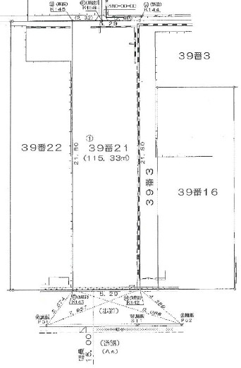
建築条件なし!お好きな工務店・ハウスメーカにて建築可能です♪ ☆間口5.2m ☆前面道路15m


物件紹介動画
物件概要
- 物件名称
- 東住吉区東田辺三丁目売土地
- 物件種別
- 土地
- 所在地
- 大阪市東住吉区東田辺三丁目
- 交通
- 近鉄南大阪線「針中野」駅徒歩5分
- 価格
- 4,400万円
- 取引様態
- 仲介
- 引渡時期
- 即時
- 現況
- 更地
- 周辺環境
- 地目
- 用途地域
- 第2種住居地域
- 地勢
- 接道状況
- 南側 幅員15m 間口5.2m
- 建ぺい率
- 80%
- 容積率
- 200%
- 土地面積
- 115.33㎡
- その他
- 備考
- 建築条件なし!お好きな工務店・ハウスメーカにて建築可能です♪ ☆間口5.2m ☆前面道路15m
- 情報更新日









